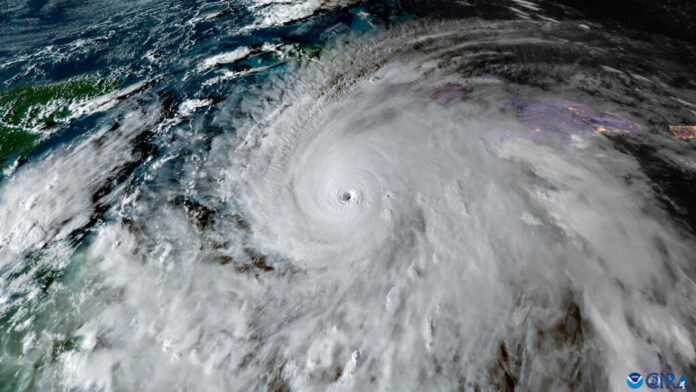
اجتاح إعصار “ميليسا”، الذي يُعدُّ من أقوى العواصف في تاريخ الكاريبي، المنطقة الشمالية من البحر الكاريبي يوم الأربعاء 29 أكتوبر 2025، بعد أن ضرب ثاني أكبر مدينة في كوبا، مما أدى إلى عزل مئات القرى، تدمير واسع النطاق في جامايكا، وفيضانات مدمرة في هايتي أودت بحياة 25 شخصًا على الأقل. أعلن المركز الوطني للأعاصير الأمريكي (NHC) أن “ميليسا”، المصنف في الفئة الثالثة، يحمل رياحًا بسرعة 120 ميل/ساعة (193 كم/ساعة)، ويتحرك شمال شرقًا نحو جزر الباهاما، حيث أجّلت السلطات 1500 شخص في عملية إجلاء كبرى.
الدمار في هايتي: 25 قتيلاً وفيضانات تُغرق المدن
لم يضرب الإعصار هايتي مباشرة، لكنه أغرقها بأمطار غزيرة استمرت أيامًا، مما أدى إلى فيضانات كارثية في بيتي-غوافي، المدينة الساحلية على بعد 64 كم غرب العاصمة بورت أو برنس. أفادت وكالة الحماية المدنية أن 25 شخصًا على الأقل لقوا حتفهم، معظمهم بسبب فيضان النهر، بما في ذلك 10 أطفال، وفقدان 12 آخرين. غمرت المياه أكثر من 1000 منزل، ونُقِلَ 12,000 شخص إلى ملاجئ مؤقتة، وسط نقص في الغذاء والوقود يُفاقم الأزمة الإنسانية الناجمة عن الصراعات السابقة التي أجبرت 1.3 مليون شخص على النزوح.
أعرب أهالي المناطق المتضررة عن يأسهم، حيث قال فورتون فيتال، أحد المتضررين: “إذا أضيفت الأعاصير إلى مشاكلنا، سنموت ببساطة”. أعدّت الأمم المتحدة إمدادات لـ86,000 شخص، مع تحذير اليونيسيف من تعرض 1.6 مليون طفل للخطر. أعلنت خطوط الطيران المحلية إلغاء الرحلات، وتوقفت الخدمات الطبية في بعض المناطق.
تدمير جامايكا: أضرار تصل 22 مليار دولار
ضرب “ميليسا” جامايكا يوم الثلاثاء كأقوى إعصار مسجل في تاريخها (رياح 185 ميل/ساعة أو 298 كم/ساعة)، مما أدى إلى انقطاع الكهرباء عن 77% من الجزيرة، وإغلاق الطرق في 4 مقاطعات، وانهيار مبانٍ وجسور. أفادت الصور الحكومية بأن الفيضانات غمرت كينغستون، وأُجّلَ 25,000 سائح في ملاجئ، مع أضرار في 3 مستشفيات. أعلن وزير الطوارئ ديزموند ماكنزي: “أسوأ محنة في تاريخنا”، مع تقديرات لخسائر تصل إلى 22 مليار دولار وفق AccuWeather، وقد يستغرق التعافي 10 سنوات.
أعطت الحكومة الضوء الأخضر للإصلاحات، مع إبقاء الملاجئ مفتوحة أسبوعًا آخر، وأعلنت إعادة فتح مطار نورمان مانلي الدولي الخميس. أفاد رئيس الوزراء أندرو هولنس: “سنعيد البناء أقوى”، مع دعم أمريكي محتمل. أُعلن عن 4 قتلى في سانت إليزابيث، بالإضافة إلى 3 في التحضيرات، وثلاثة في الدومينيكان.
كوبا تحت التهديد: إجلاء 735 ألف شخص
عبر “ميليسا” كوبا ليلًا كفئة ثالثة برياح 120 ميل/ساعة، مدمرًا غواما الجبلية غرب سانتياغو دي كوبا، مما عزل 241 مستوطنة وأثر على 140 ألف ساكن. أجّلت السلطات 735 ألف شخص، وأغلقت الطرق في غرانما، سانتياغو، غوانتانامو، وأولغين. أعلن الرئيس ميغيل دياس-كانيل: “الأضرار جسيمة، لكن الإجراءات فعالة”، مع تحذير من فيضانات وانهيارات أرضية. أدى النقص السابق في الوقود والغذاء إلى تعقيد الوضع، وأصدرت الجمعية العامة للأمم المتحدة قرارًا يطالب الولايات المتحدة بإنهاء الحصار الاقتصادي.
الباهاما وبرمودا في طريق الإعصار
يتحرك “ميليسا” الآن كفئة أولى برياح 90 ميل/ساعة (150 كم/ساعة) شمال شرقًا نحو الباهاما، حيث أجّلت 1500 شخصًا في عملية كبرى، مع توقعات بأمواج تصل إلى 7 أقدام (2 متر). في برمودا (1440 كم شمال شرقًا)، يُتوقع الإعصار الخميس، مع رياح وأمطار غزيرة. في تركس وكايكوس، تحذيرات من فيضانات وانهيارات أرضية.
أعلن الرئيس ترامب، من آسيا، استعداد الولايات المتحدة للمساعدات الإنسانية، وقال: “نحن مستعدون لإرسال الفرق”. أعدّت الأمم المتحدة إمدادات لـ86,000 شخص في هايتي، وأُلغيت رحلات الطيران المحلية. أفادت AccuWeather بأن “ميليسا” ثالث أقوى إعصار في الكاريبي، وأبطأها، مما جعله مدمرًا بشكل خاص.







